Status: Marine Conservation Zone (MCZ)
South of the Isles of Scilly MCZ is located approximately 15 km south of the Isles of Scilly in the Western Channel and Celtic Sea region. The seabed is dominated by Subtidal sand, combined with an assortment of Subtidal mixed sediments and Subtidal coarse sediment, supporting a wide variety of species.
South of the Isles of Scilly MCZ lies across the 12 nm territorial sea limit, therefore advice for this MPA is jointly delivered with Natural England.
Site
The site is named for its location approximately 15 km south of the Isles of Scilly. The site lies across the territorial sea limit, with the north-west area of the site located in inshore territorial waters.
As the site lies across the 12 nm territorial sea limit advice for this MPA is jointly delivered with Natural England.
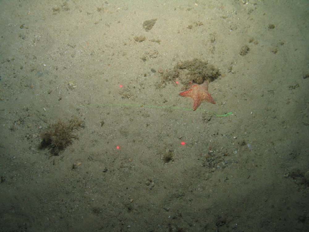
South of the Isles of Scilly MCZ covers an area of 132 km2, protecting the broad-scale habitat features of Subtidal sand and a mosaic of Subtidal coarse sediment and Subtidal mixed sediments. These habitats allow a range of animals to thrive in, and on the sediment including, worms, bivalve molluscs (e.g. bean mussel and great scallop), anemones, sea firs and starfish. Certain fish species are also supported by this habitat such as sandy dogfish, megrim, sole and three bearded rockling. This site is also designated to protect Fan mussels (Atrina fragilis). This triangular mussel has one of the largest shells found in British waters, growing up to 50 cm in length, and is one of the most endangered animals of its kind in UK waters.
More detailed site information can be found in the Summary section below.
Map displaying the South of the Isles of Scilly MPA boundary and associated protected feature data. Visit JNCC's MPA Mapper to further view and explore data for this MPA.
Legislation
Legislation behind the designation: Marine and Coastal Access Act (2009)
Protected Features
| Protected Feature | Feature Type |
| Subtidal coarse sediment / Subtidal mixed sediments mosaic | Broad-scale habitat mosaic |
| Subtidal sand | Broad-scale habitat |
| Fan mussel (Atrina fragilis) | Feature of Conservation Importance |
Specific information on the conservation objectives related to this site is provided in the Conservation Advice section.
The acquisition of new data may result in updates to our knowledge on feature presence and extent within this site. The most up-to-date information is reflected on the map on this page and in JNCC’s MPA Mapper and the evidence underpinning this can be viewed in the Monitoring and Evidence section.
Site Timeline
The diagram below is a summary of the key milestones involved in the selection and designation of the South of the Isles of Scilly MCZ. More detail can be found within the Relevant Documentation section and in the post-consultation advice.
Relevant Documentation
The documents referred to below and any other historical documents relating to South of the Isles of Scilly MCZ were produced during the selection and designation process and therefore may be out of date. This Site Information Centre is the most up-to-date source of information for this MPA, and will reflect any additional information gathered since these documents were produced. Further information about the Marine Conservation Zone site selection process and historic MCZ advice is available on JNCC's MCZ webpage.
- South of the Isles of Scilly MCZ Designation Order – the official description of the site designation under the Marine and Coastal Access Act 2009. The Designation Order includes boundary co-ordinates, Conservation Objectives and a list of the designated features. More information on the designation, including a designation map and factsheet is available on Defra's website.
- JNCC's pre- and post-consultation scientific advice for features proposed for designation in 2019.
- JNCC's formal conservation advice for this site is available in the Conservation Advice section.
Summary
Last updated: June 2020
Information for this site summary was adapted from JNCC’s scientific advice to Defra on South of the Isles of Scilly MCZ and incorporates any further information gathered since this advice was produced. Please refer to the Relevant Documentation section for further details and information sources.
Site overview
This site is located approximately 15 km to the South of the Isles of Scilly in the Western Channel and Celtic Sea region. The seabed is characterised by Subtidal sand, with ribbons of mosaic habitat comprising Subtidal coarse sediment and Subtidal mixed sediments. These broad-scale habitats support a variety of species from bivalve molluscs like the bean mussel and great scallop to fish species including dogfish and three bearded rockling. As well as the sedimentary habitats protected, the site is also designated to protect the fan mussel (Atrina fragilis) Feature of Conservation Importance (FOCI). This mussel lives in areas of soft sediment, with up to two-thirds of its length buried in the seabed. It uses fine threads, called byssus threads, to anchor itself to small stones or shell fragments. The fan mussel is scarce and considered to be one of the most endangered mussels in UK waters. The main threats to fan mussels are beam trawling and scallop dredging, although they may also be harmed by pollution or other changes in water quality.
South of the Isles of Scilly MCZ was recommended by the Finding Sanctuary regional MCZ project in 2011. JNCC consulted Defra on the designation of the site based on the Subtidal sand, Subtidal coarse sediment / Subtidal mixed sediments mosaic habitat, and the species FOCI fan mussel (Atrina fragilis). The MB0120 site survey in 2013 collected photographic data and grab samples for particle size analysis (PSA) of the Subtidal sand, Subtidal coarse sediment and Subtidal mixed sediments. The survey also collected infaunal samples showing the presence of the fan mussel. Further evidence for the presence of sedimentary features is provided by BGS seabed sediment data which was collected through grab sampling.
Further detail on the evidence for this MCZ can be found in the Monitoring and Evidence section.
Site location: Co-ordinates for this MCZ can be found in the Designation Order listed in the Relevant Documentation section.
Site area: 132 km2 (roughly 20 times the size of St Mary's, the largest of the islands in the Isles of Scilly).
Site depth range: The site predominantly lies between 50 and 100 m deep, however the western tip of the site reaches depths below 100 m.
Charting Progress 2 Biogeographic Region: Western Channel and Celtic Sea.
Site boundary description: The site has an approximately square-shaped boundary, which was drawn in line with the guidance provided by the MCZ project Ecological Network Guidance (ENG). The boundary of the South of the Isles of Scilly MCZ has not changed since it was recommended by the Finding Sanctuary Regional MCZ Project in 2011.
Monitoring and Evidence
Last updated: November 2023
Site-specific data
There are a range of data that underpin this MCZ. The full overview of these data used to support site identification along with information on confidence in feature presence and extent is available in JNCC’s Tranche Three MCZ pre-consultation and post-consultation scientific advice for offshore Marine Conservation Zones proposed for designation in 2019. JNCC will be adding relevant survey data for this MPA to its MPA Mapper in due course.
Some of the data for this MCZ have been collected through JNCC-funded or collaborative surveys and some through other means. Data from these surveys provide direct evidence confirming the presence of the protected features within the site.
Survey and data gathering
- Cefas/JNCC site verification survey of South of the Isles of Scilly MCZ (2013) – Cefas undertook a dedicated site survey CEND0613 in 2013. Acoustic MBES data was collected and 57 ground-truthing stations were sampled using a combination of grab and camera sampling.
Data analysis reports
- South of the Isles of Scilly rMCZ Post-survey Site Report (2016) – Cefas undertook analysis of acoustic and ground-truthing data collected by the dedicated site survey in 2013. These data were used to produce an updated habitat map for the site and inform the presence of broadscale habitats, habitat FOCI and species FOCI and allow estimates to be made of their spatial extent within the site.
Knowledge gaps
As part of the UK Marine Monitoring and Assessment Strategy (UKMMAS), JNCC led the development of a UK Marine Biodiversity Monitoring Strategy, working with partners across the UK monitoring community. The Strategy spans UK territorial and offshore waters, focusing on biodiversity in the wider environment and within Marine Protected Areas. Its aim is to implement efficient, integrated monitoring of marine biodiversity to provide the evidence needed for all the UK's policy drivers.
The evidence collected during MPA monitoring surveys is used in combination with other available evidence to:
- Enable assessment of condition of the features within sites;
- Contribute to the assessment of the degree to which management measures are effective in achieving the conservation objectives for the protected features;
- Support the identification of priorities for future protection and/or management; and,
- Enable Government to fulfil its national and international assessment and reporting commitments in relation to MPAs and help identify where further action may be required.
More detail on offshore MPA monitoring can be found on the Offshore MPA monitoring webpage. A list of monitoring surveys and relevant reports can be found on the MPA monitoring survey reports webpage.
If you are aware of any additional data not listed here or scientific papers relevant to this site, please contact us.
Conservation Advice
Last updated: June 2020
The overarching conservation objectives for the site is for its designated feature either to remain in or reach favourable condition. The ability of a designated feature to remain in or reach favourable condition can be affected by its sensitivity to pressures associated with activities taking place within or in close proximity to a protected site.
Formal conservation advice is not currently available for this MPA and will be added in due course. JNCC will work alongside Natural England to develop a joint conservation advice package for this site.
In the interim, please see JNCC’s Tranche 3 MCZ post-consultation advice for more detail.
Further information on JNCC’s approach used to develop conservation advice packages is available on our 'Conserving MPAs' webpage along with a Glossary of Terms used in JNCC conservation advice and a short video explaining how to use the conservation advice packages.
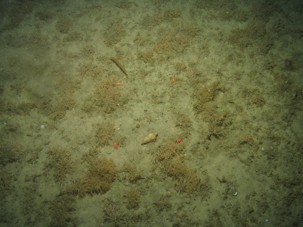
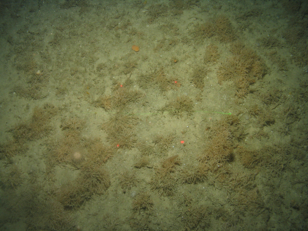
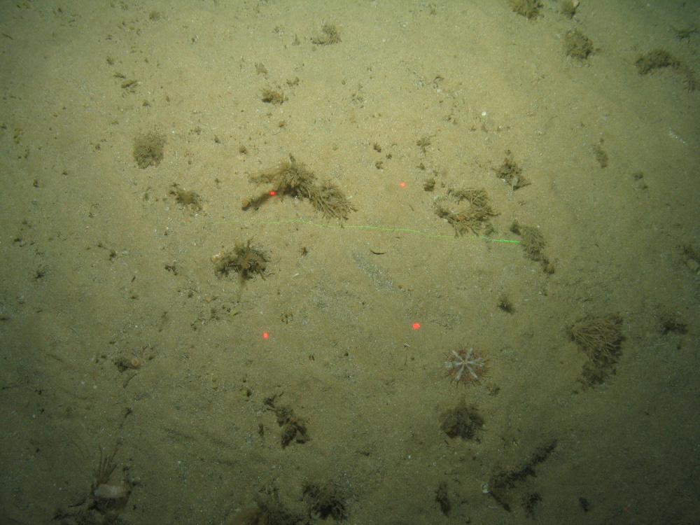
Image Gallery
© Cefas/JNCC
Published:
