Please be advised that as of 16 October 2025, new fisheries measures will be in force for Scanner Pockmark SAC. The fisheries measures for this site are demersal mobile and demersal static gear prohibited from full site. For more information about these fisheries measures please see 'Offshore Marine Protected Areas - fisheries management measures: supporting guidance on coordinates and restrictions' on the Scottish Government website. Updated conservation advice will be provided in due course.
Status: Special Area of Conservation (SAC)
Scanner pockmark, located 185 km off the north-east coast of Scotland, is a seafloor depression containing Submarine structures made by leaking gases.
Video
Site
Located approximately 185 km off the north-east coast of Scotland near the centre of the Witch Ground Basin, Scanner pockmark is a seafloor depression containing Submarine structures made by leaking gases.
The Scanner pockmark itself, together with additional pockmark depressions, make up the Scanner Pockmark SAC. A total of 67 pockmarks have been identified within the site boundary. The pockmarks were created by the expulsion of fluids and have been maintained by active gas seepage.The Scanner pockmark complex in the south of the site is a large seabed depression of approximately 320,000 m2 containing two deep areas about 17 m below the surrounding seafloor. Carbonate blocks known as 'Submarine structures made by leaking gases' form when methane is released from the seabed and reacts with the surrounding seawater and have been recorded in the base of these pockmarks. The northern section of the site contains the Scotia pockmark complex with two deep sections and active methane seeps. These large pockmarks reach a depth of approximately 15 m below the surrounding sea floor.
More detailed site information can be found in the Summary section below.
Map displaying the Scanner Pockmark MPA boundary and associated protected feature data. Visit JNCC's MPA Mapper to further view and explore data for this MPA.
Legislation
Legislation behind the designation: EU Habitats Directive 1992 transposed into UK law by The Conservation of Offshore Marine Habitats and Species Regulations 2017 (as amended).
Protected Features
| Feature | Feature Type |
| 1180 Submarine structures made by leaking gases | Annex I Habitat |
Specific information on the conservation objectives relating to this site is provided in the Conservation Advice section.
The acquisition of new data may result in updates to our knowledge on feature presence and extent within this site. The most up-to-date information is reflected on the map on this page and in JNCC’s MPA Mapper, and the evidence underpinning this can be viewed in the Monitoring and Evidence section.
Site Timeline
The diagram below is a summary of the key milestones involved in the selection and designation of Scanner Pockmark SAC. More detail can be found in the Relevant Documentation section.
Relevant Documentation
The documents referred to below and any other historical documents relating to Scanner Pockmark were produced during the selection and designation process and therefore may be out of date. This Site Information Centre is the most up-to-date source of information for this MPA, and will reflect any additional information gathered since these documents were produced. Information about the SAC site selection process is available on JNCC's SAC webpages.
Amended boundary 2017:
- Standard Data Form – Details the SAC and the designated features.
- SAC Selection Assessment Document – Overview of the SAC, designated features and rationale for site selection.
- Boundary Amendment Document – Information about the Boundary amendment.
- Post-Consultation Report and Impact Assessment – Overview of the consultation outcomes, and an assessment of the environmental, social and economic costs and benefits of the designation.
- Management Options Paper – Considers the management options for achieving the conservation objective for the protected feature in the MPA.
- JNCC's formal conservation advice for this site is accessible in the Conservation Advice section below.
These documents are available on JNCC's Resource Hub.
Original boundary: An amendment to the site boundary for Scanner Pockmark was consulted on in 2017. This was approved by the UK Government and European Commission in September 2018. More information, and the original documents for the site, can be found in the SAC consultation archive (available on The National Archives website).
Summary
Last updated: October 2018
Information for this site summary was adapted from the SAC Selection Assessment and incorporates any further information gathered since this document was produced.
Site overview
Scanner pockmark is a large seabed depression in the northern North Sea, which had in the past been identified as containing verified examples of large blocks of the Annex I habitat Submarine structures made by leaking gases. The Scanner pockmark itself, together with additional pockmark depressions, make up the Scanner Pockmark SAC. The site is situated approximately 185 km off the north-east coast of Scotland near the centre of the Witch Ground Basin, in waters of approximately 150 m depth. A total of 67 pockmarks have been identified within the Scanner Pockmark SAC boundary. The pockmarks were created by the expulsion of fluids and have been maintained by active gas seepage.
Four of these pockmarks have a considerably greater volume than more typical pockmarks in the vicinity of the site, comprised of two pockmark complexes; Scanner and Scotia. The Scanner pockmark complex in the south of the site comprises two large pockmarks with a combined area of approximately 320,000 m2 and depths of up to 16.7 m below the surrounding sea floor. At the base of the pockmarks, blocks of 'methane-derived authigenic carbonate' (MDAC) (equivalent to the interest feature of the site: Annex I Submarine structures made by leaking gases) have been previously recorded. Scotia pockmark complex in the north is a composite feature composed of two deeper sections with active methane seeps. Analysis of survey data collected in 2012 suggests that small patches of harder substrate do occur within the Scotia pockmark complex, but whether these represent MDAC requires further confirmation.
Some of the pockmarks appeared to have infilled due to slope failure, interrupting gas migration and likely obscuring seabed features previously present such as MDAC or bacterial mats. The cause of slope failure is unknown, but may be either anthropogenic or natural. On the basis that verified examples of the qualifying feature having been recorded in the past, potential examples of Annex I Submarine structures made by leaking gases have been considered in establishing the boundary for the site. High acoustic backscatter may be indicative of hard carbonate structures so are considered as potential feature records associated with pockmarks. Both verified and potential occurrences of the habitat are considered to represent the known extent of the feature within the site.
The faunal communities within the site have previously represented assemblages typically associated with rocky reef, colonising the carbonate structures in the base of the pockmarks. Although pockmark infilling appears to have obscured MDAC structures, there are still large numbers of the nematode species Astomonema southwardarum, known to host endosymbiotic, chemoautotrophic bacteria within their body cavity. However, as a result of the obscured carbonate structures, typical species assemblages appear to be more similar to wider soft sediment ecosystems.
Scanner Pockmark SAC is one of three sites identified for protection of Annex I Submarine structures made by leaking gases in the UK. There is one other SAC in the Northern North Sea with Submarine structures made by leaking gases as a qualifying interest feature of the site. Braemar Pockmarks SAC is situated to the north-east of Scanner Pockmark SAC. There is also a site for the feature in the Irish Sea – Croker Carbonate Slabs SAC.
Further detail on the evidence for this SAC can be found in the Monitoring and Evidence section.
Site location: Co-ordinates for this SAC can be found in the Standard Data Form listed in the Relevant Documentation section.
Site area: 6.74 km2
Site depth range: Depth at the site ranges from 150 m below sea-level down to 165 m below sea-level at the base of the main pockmark.
Charting Progress 2 Biogeographic Region: Northern North Sea.
Site boundary description: The boundary for Scanner Pockmark is a simple polygon enclosing the minimum area necessary to ensure protection of the Annex I habitat. Co-ordinate points have been positioned as close to the edge of the interest feature as possible. As bottom trawling is a significant threat to the interest feature, the proposed boundary includes a margin to ensure its protection.
Monitoring and Evidence
Last updated: November 2023
The full overview of the data used to support site identification along with information on confidence in feature presence and extent is available in the Scanner Pockmark MPA SAC Selection Assessment Document. All data that can be made publicly available are displayed on JNCC's MPA Mapper.
Some of the data for this SAC has been collected through JNCC-funded or collaborative surveys and some through other means. These data provide direct evidence confirming the presence of the protected features within the site.
Survey and data gathering
- Cruise report for the offshore seabed survey of Braemar Pockmarks and Scanner Pockmark (2017) – Summarises operations and initial observations on board the RV Cefas Endeavour during the cruise CEND19x/12. The aim was to gather additional evidence to support the development of fisheries management measures and develop a baseline for future site monitoring.
Data analysis reports
- Offshore seabed survey of Braemar Pockmarks and Scanner Pockmark (2017) – This report presents the findings from the analyses of the data gathered during the seabed survey of the Braemar Pockmarks and Scanner Pockmark in 2012 (cruise CEND19x/12). The report describes the presence, location and extent of the pockmark features, along with detail relating to the presence and location of any associated seafloor carbonate structures where they are observed to occur.
- Geological investigation of pockmarks in the Scanner Pockmark SCI area (2015) – JNCC commissioned the British Geological Survey to compare 2012 survey data and earlier geological data to assess changes in pockmark morphology and condition. The study confirmed the presence of 61 pockmarks within the site, four of which measured over 72,000 m2 with a depth of greater than 12 m compared to the surrounding seabed. Comparison of acoustic data between 2001 and 2012 surveys revealed that some pockmarks are becoming filled in with sediment, believed to be the result of collapsing pockmark sidewalls. Strong acoustic reflections shown in multibeam backscatter data suggest that the muddy sea floor is punctuated with patches of harder substrate in nearly half of the pockmarks. These require further investigation (such as through visual observation or seabed sampling) to determine whether they are examples of carbonate blocks, shell fragments or a change in sediment particle size.
- Seabed fluid flow: the impact on geology, biology and the marine environment (2007) – A review of survey data and associated studies by Judd and Hovland (2007) indicates that the volume of the Scanner and Scotia pockmarks is approximately 1 million m3 and they are deep enough to cut through surrounding sediments, revealing stiffer clay beneath. These pockmarks are larger and deeper than those found nearby. The largest carbonate block observed in Scanner pockmark measured 2 x 1 metre and was 20–50 cm thick.
- A review of pockmarks in the UK part of the North Sea (2001) – Dando (2001) reviewed data from a 1989 survey in which grab samples were taken to characterise the sediment, including chemical and gas composition, and 1990 and 1991 surveys in which a manned submersible was deployed to study infauna, taking 18 box-core sediment samples. These surveys found that the macro-infauna of Scanner pockmark was similar to that of the surrounding area, with the exception of the bivalve Thyasira sarsiwhich was confined to sulphur-rich sediments. The micro-infauna was dominated by the gutless nematode while anthozoans were the most conspicuous epifauna, found at higher densities in the pockmark than in surrounding areas.
- Pockmarks in the UK Sector of the North Sea (2001) – Preliminary analysis by Judd (2001) of acoustic records including sidescan, backscatter and bathymetry taken during a 2001 survey of petroleum block 15/25. Gas seeps and carbonate blocks were identified in this area of the North Sea.
- Pockmark formation and activity in UK block 15/25, North Sea (1994) – Seismic data from surveys in 1983, 1989, 1990 and 1991 found evidence of gas plumes on the seabed and gas accumulations at shallow depths beneath the seabed. The study by Judd et al. (1994) estimates that the Scanner pockmark was formed 13,000 years ago.
- Ecology of a North Sea pockmark with an active methane seep (1991) – Analysis of grab samples collected on two 1989 surveys by Dando et al. (1991) found that the pockmark fauna was characterised by the gutless nematode and the bivalve Thyasira sarsi, which was confirmed to be feeding on chemosynthetic bacteria. The chemical composition of samples suggested sediment displacement had taken place – a feature of typical feature of methane seeps.
- Characteristics of two natural gas seepages in the North Sea (1985) – Hovland and Sommerville (1985) describe the discovery of the Scanner pockmark from acoustic and seismic records taken during a routine environmental survey by the petroleum industry in 1983. Acoustic data indicated the presence of an active seep in the form of gas bubbles, low density liquid or suspended sediments.
Additional relevant literature
Further supporting scientific literature consulted during the identification of this site can be found in the Selection Assessment. Please be aware that although these sources contain information which is of interest in relation to this MPA, they do not necessarily represent the views of JNCC.
- Judd, A.G. and Hovland, M. (2007). Seabed fluid flow: the impact on geology, biology and the marine environment. Cambridge: Cambridge University Press.
- Holmes, R. and Stoker, S.J. (2005). Investigation of the origin of shallow gas in Outer Moray Firth open blocks 15/20c and 15/25d. Report to the Department of Trade and Industry No. GC04/22. – A review of data from British Geological Society regional surveys and commercial data showing that gas is seeping from the seabed in the Scanner and Scotia pockmarks and that these are unusually large pockmarks compared to others in the surrounding area. Methane derived authigenic carbonate is documented in both.
- Dando, P.R. (2001). A review of pockmarks in the UK part of the North Sea, with particular respect to their biology. Technical report produced for Strategic Environmental Assessment – SEA2. Department of Trade and Industry Technical Report No. TR_001.
- Judd, A.G. (2001). Pockmarks in the UK Sector of the North Sea. Technical report produced for Strategic Environmental Assessment – SEA2. Department of Trade and Industry Report No. TR_002.
- Judd, A., Long, D. and Sankey, M. (1994). Pockmark formation and activity, UK block 15/25, North Sea. Bulletin of the Geological Society of Denmark, 41: 34-49.
- Dando, P.R., Austen, M.C., Burke, R.J., Kendall, M.A., Kennicutt, M.C., Judd, A.G., Moore, D.C., O' Hara, S.C.M., Schmaljohann, R. and Southward, A.J. (1991). Ecology of a North Sea Pockmark with an active methane seep. Marine Ecology Progress Series, 70: 49-63.
- Hovland, D.M. and Sommerville, J.H. (1985). Characteristics of two natural gas seepages in the North Sea. Marine and Petroleum Geology, 2 (4): 319-326.
Knowledge gaps
As part of the UK Marine Monitoring and Assessment Strategy (UKMMAS), JNCC led the development of a UK Marine Biodiversity Monitoring Strategy, working with partners across the UK monitoring community. The Strategy spans UK territorial and offshore waters, focusing on biodiversity in the wider environment and within Marine Protected Areas. Its aim is to implement efficient, integrated monitoring of marine biodiversity to provide the evidence needed for all the UK's policy drivers.
The Marine Directorate of Scottish Government, in partnership with JNCC and NatureScot, developed a Scottish Marine Protected Area (MPA) monitoring strategy. The Strategy spans Scottish territorial and offshore waters, focusing on biodiversity within Marine Protected Areas. The Strategy is supported by a series of annexes which provide more detail on monitoring methods, collaborative working, current monitoring and a two year forward look for MPA monitoring in Scottish waters.
The evidence collected during MPA monitoring surveys is used in combination with other available evidence to:
- Enable assessment of condition of the features within sites;
- Contribute to the assessment of the degree to which management measures are effective in achieving the conservation objectives for the protected features;
- Support the identification of priorities for future protection and/or management; and,
- Enable Government to fulfil its national and international assessment and reporting commitments in relation to MPAs and help identify where further action may be required.
More detail on offshore MPA monitoring can be found on the Offshore MPA monitoring webpage. A list of monitoring surveys and relevant reports can be found on the MPA monitoring survey reports webpage.
If you are aware of any additional information not referred to in the Relevant Documentation section, please contact us.
Conservation Advice
Last updated: February 2018
Updated formal conservation advice is now available for this MPA. Further information on the approach used to develop this advice is available on our Conservation Advice webpages along with a Glossary of Terms used in JNCC conservation advice and a short video explaining how to use the conservation advice packages.
You must refer to this advice if you:
- undertake a Habitats Regulation Assessment (HRA) for a plan or project that could impact the site;
- provide information for a HRA;
- respond to specific measures to support delivery of the conservation objectives for the site; and
- consider the need to put new or additional management measures in place.
You may also find it useful to refer to this advice if you:
- carry out any other activity that could impact the site.
We will engage with stakeholders to identify any lessons which JNCC can learn from customers who have used the advice, with a view to continuing to ensure it is fit-for-purpose.
The following table provides an overview of the components of the conservation advice, and provides hyperlinks to each of the products for this MPA. These elements together form JNCC’s formal conservation advice for this site and should be read in conjunction with each other. This updated advice replaces the previous Regulation 18 package for the site. This advice reflects the most up-to-date evidence held by JNCC (correct as of February 2018).
| Document | Overview |
|---|---|
| Background Information | Explains the purpose of the advice and when it must be referred to. |
|
|
The conservation objectives set out the broad ecological aims for the site. JNCC provides supplementary advice in the SACO which is essential reading to support interpretation of these conservation objectives. It provides further detail and site-specific information for each feature within the site including which of the attributes need to be conserved and which ones recovered. You can use these documents to assess the impacts of your planned activity on the important attributes of the site. |
| Conservation Advice Statements |
These statements provide a summary of the Supplementary Advice on the Conservation Objectives (SACO).
|
| Advice on Operations |
Provides information on the activities capable of affecting site integrity and therefore achievement of the site’s conservation objectives. This is a starting point for determining potential management requirements. It does not take into account the intensity, frequency or cumulative impacts from activities taking place. It is simply to advise you of the possible adverse impacts that your activity can have on an MPA’s features. Use the advice on operations to determine those pressures your activity causes that could harm the habitat and/or species features of the site. |
These resources are available on JNCC's Resource Hub.
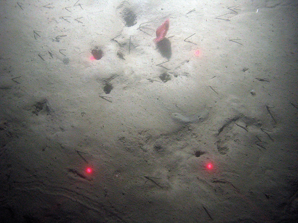
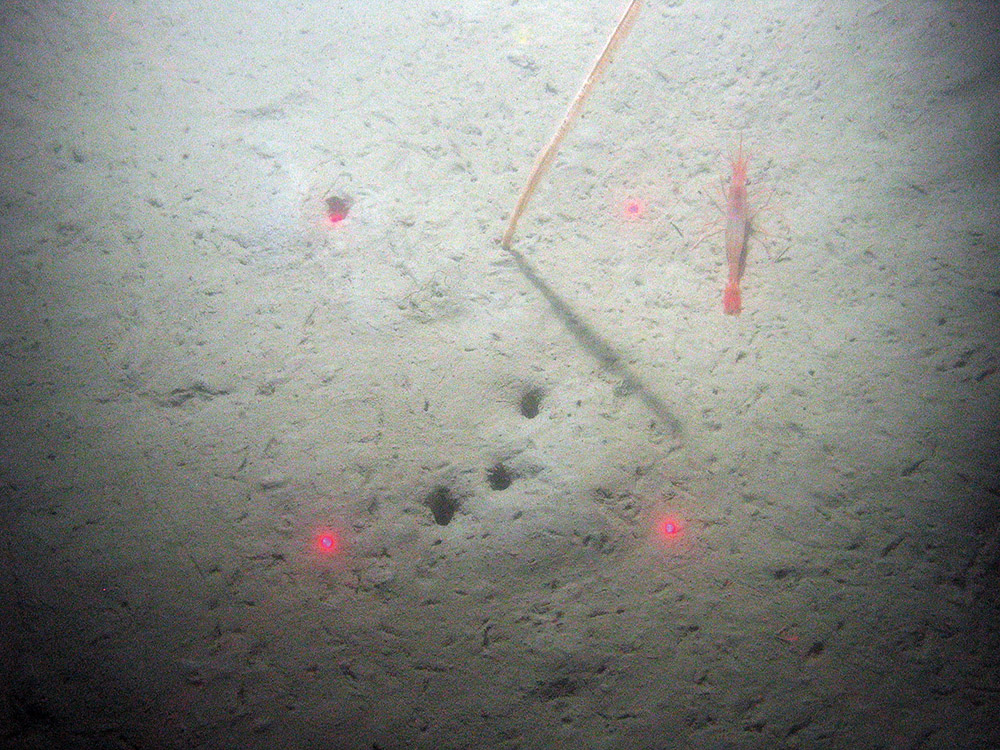
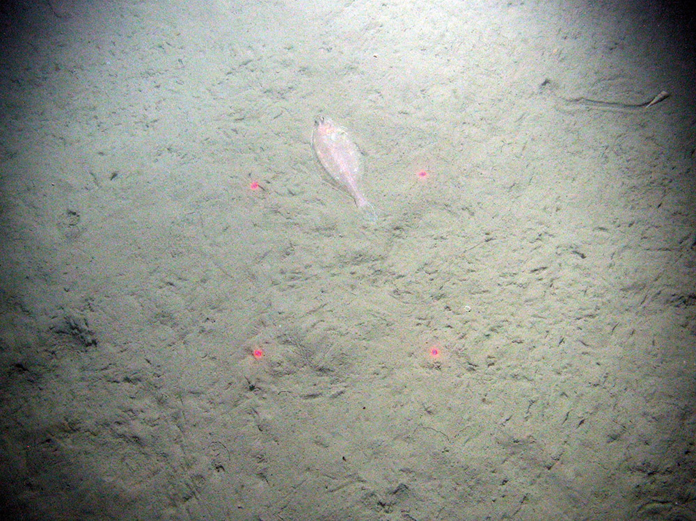
Image Gallery
Published:
