Status: Marine Conservation Zone (MCZ)
North-West of Jones Bank MCZ is an offshore site situated approximately 165 km west of Land’s End on the Cornish coast, England.
Video
Site
Situated off of the Cornish Coast, North-West of Jones Bank MCZ is an offshore site approximately 165 km west of Land’s End.
The site extends over approximately 399 km2 of continental shelf seabed, helping to protect a diverse range of habitats and associated species. The array of sediment types found at North-West of Jones Bank support a number of different organisms, including worms, cockles, urchins and sea cucumbers, as well as providing habitats for sea-pens and burrowing megafauna.
More detailed site information can be found in the Summary section below.
Map displaying the North-West of Jones Bank MPA boundary and associated protected feature data. Visit JNCC's MPA Mapper to further view and explore data for this MPA.
Legislation
Legislation behind the designation: Marine and Coastal Access Act (2009)
Protected Features
| Protected Feature | Feature Type |
| Subtidal coarse sediment | Broad-scale habitat |
| Subtidal sand | Broad-scale habitat |
| Subtidal mud | Broad-scale habitat |
| Subtidal mixed sediments | Broad-scale habitat |
| Sea-pen and burrowing megafauna communities | Feature of Conservation Importance |
Specific information on the conservation objectives relating to this site is provided in the Conservation Advice section.
The acquisition of new data may result in updates to our knowledge on feature presence and extent within this site. The most up-to-date information is reflected on the map on this section and in JNCC’s MPA Mapper and the evidence underpinning this can be viewed in the Monitoring and Evidence section.
Site Timeline
The diagram below is a summary of the key milestones involved in the selection and designation of North-West of Jones Bank MCZ. More detail can be found in the Relevant Documentation section below.
Relevant Documentation
The documents referred to below and any other historical documents relating to North-West of Jones Bank MCZ were produced during the selection and designation process and therefore may be out of date. This Site Information Centre is the most up-to-date source of information for this MPA, and will reflect any additional information gathered since these documents were produced. Further information about the Marine Conservation Zone site selection process and historic MCZ advice is available on JNCC's MCZ webpages.
- North-West of Jones Bank MCZ Designation Order – Official description of the site designation under the Marine and Coastal Access Act 2009. The Designation Order includes boundary co-ordinates, Conservation Objectives and a list of the designated features. More information on the designation, including a designation map and factsheet, is available on Defra's website.
- JNCC's pre- and post-consultation scientific advice on features proposed for designation in 2016.
- JNCC's formal conservation advice for this site is available in the Conservation Advice section.
Summary
Last updated: July 2020
Information for this site summary was adapted from JNCC’s Relevant Documentation on this site and incorporates any further information gathered since these documents were produced.
Site Overview
North-West of Jones Bank MCZ is situated approximately 165 km offshore from the south-west of England. The site covers 399.14 km2 of continental shelf, and it contributes one of the largest areas of Subtidal mud to the MPA network of all designated MCZs.
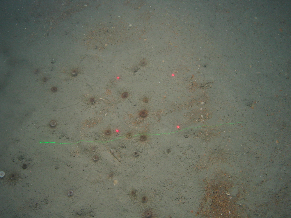
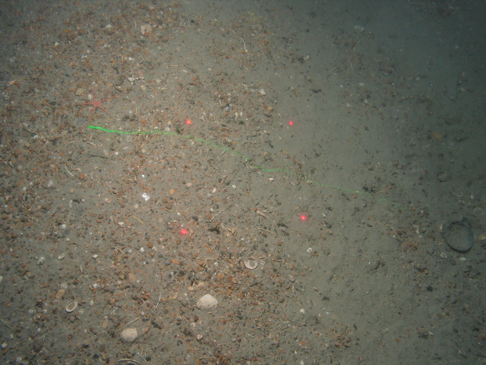
The seabed in North-West of Jones Bank MCZ comprises a variety of broad-scale habitats such as Subtidal sand, Subtidal mixed sediments and Subtidal coarse sediment. These habitats are representative of the seabed in UK offshore waters and support a range of species, including polychaete worms, veneroid molluscs and echinoderms such as starfish and urchins. The area however, predominantly consists of Subtidal mud and its component habitat Feature of Conservation Importance; Sea-pen and burrowing megafauna communities. This feature consists of stable plains of fine mud, which provide a suitable habitat for burrowing animals such as Norway lobster (Nephrops norvegicus) and sea-pens like the slender sea-pen (Virgularia mirabilis) that protrude from the seabed.
North-West of Jones Bank MCZ is situated approximately 132 km north-west from South-West Deeps (West) MCZ, and 240 km north-west of The Canyons MCZ. All of these sites contribute to the connectivity and representativity of seabed features within the Western Channel and Celtic Sea biogeographic area. Further detail on the evidence for this MCZ can be found in the Monitoring and Evidence section.
Site location: Co-ordinates for this MCZ can be found in the Designation Order listed in the Relevant Documentation section.
Site area: 399.14 km2. North-West of Jones Bank MCZ is larger in size than the Isle of Wight (380 km2).
Site depth range: North-West of Jones Bank MCZ varies in depth from between approximately 100 m and 200 m.
Charting Progress 2 biogeographic region: Western Channel and Celtic Sea.
Site boundary description: The North-West of Jones Bank is a simple rectangle following North–South and East–West lines. Therefore, the boundary is in accordance with the MCZ Ecological Network Guidance, which advises using a minimum number of simple lines to delineate the site. The Finding Sanctuary Regional MCZ Project recommended North-West of Jones Bank MCZ to Government, which was then advised on by the Statutory Nature Conservation Bodies before being subject to public consultation by Defra, between January 2015 and April 2015.
Monitoring and Evidence
Last updated: November 2023
The full overview of the various data used to support site identification, along with information on confidence in feature presence and extent, is available in the pre-and post-consultation advice for Tranche Two offshore Marine Conservation Zones proposed in 2016. JNCC will be adding relevant survey data for this MPA to its MPA Mapper in due course.
Some of the data for this MCZ have been collected through JNCC-funded or collaborative surveys and some through other means. Data from these surveys provide direct evidence confirming the presence of the protected features within the site.
Survey and data gathering
- North-West of Jones Bank and The Canyons MCZs seabed survey (2017) – This survey was a collaboration between JNCC and Cefas. Video, grabs and camera imagery were collected in North-West of Jones Bank MCZ to form the first point in a monitoring time-series, allowing JNCC to monitor the rate and direction of long-term change in subtidal mud and sea-pens and burrowing megafauna communities.
- North-West of Jones Bank MCZ Verification Survey (2012) – The survey was a collaboration between Cefas and JNCC to collect acoustic and ground-truth data to identify the presence and extent of broad-scale habitats and features of conservation importance within North-West of Jones Bank MCZ.
- Gardline survey (9060) of North-West Jones Bank (March 2012) – Ground-truthing data were collected at a total of 36 stations with grab sampling, video and image. Multibeam bathymetry and backscatter was collected for 75% of the site using an echosounder.
Data analysis reports
- North-West of Jones Bank MCZ monitoring report (2017) – Data from the 2017 monitoring survey enabled the formation of a baseline monitoring assessment for the broad-scale habitat 'Subtidal mud' and associated 'Sea-pen and Burrowing Megafauna Communities' habitat FOCI. Samples acquired during this survey improved our understanding of the distribution of both these habitats.
- North-West of Jones Bank MCZ community analysis (2016) – Biotope classification using benthic community statistical analysis of data gathered to provide evidence to underpin the MCZ designation. The analysis supports the presence of subtidal coarse sediment, subtidal sand and subtidal mud. The analysis also supports the presence of sea-pen and burrowing megafauna communities
- North-West of Jones Bank MCZ Post-survey site report (2015) – Data from the 2012 verification survey and the 2012 Gardline survey have been analysed by Cefas. These data were used to produce an updated habitat map for the site and confirmed the presence of Subtidal coarse sediment, Subtidal sand and Subtidal mud. The survey also identified the presence of an additional broad-scale habitat, Subtidal mixed sediments, and a Feature of Conservation Importance (FOCI), Sea-pen and burrowing megafauna communities.
Additional relevant literature
References for further supporting scientific literature consulted during the identification of this site can be found in the annexes of pre- and post-consultation scientific advice for Tranche Two offshore Marine Conservation Zones proposed for designation in 2016. Please be aware that although these sources contain information in relation to this MPA, they do not necessarily represent the views of JNCC.
Knowledge gaps
As part of the UK Marine Monitoring and Assessment Strategy (UKMMAS), JNCC led the development of a UK Marine Biodiversity Monitoring Strategy, working with partners across the UK monitoring community. The Strategy spans UK territorial and offshore waters, focusing on biodiversity in the wider environment and within Marine Protected Areas. Its aim is to implement efficient, integrated monitoring of marine biodiversity to provide the evidence needed for all the UK's policy drivers.
The evidence collected during MPA monitoring surveys is used in combination with other available evidence to:
- Enable assessment of condition of the features within sites;
- Contribute to the assessment of the degree to which management measures are effective in achieving the conservation objectives for the protected features;
- Support the identification of priorities for future protection and/or management; and,
- Enable Government to fulfil its national and international assessment and reporting commitments in relation to MPAs and help identify where further action may be required.
More detail on offshore MPA monitoring can be found on the Offshore MPA monitoring webpage. A list of monitoring surveys and relevant reports can be found on the MPA monitoring survey reports webpage.
If you are aware of any additional data or relevant scientific papers for this site not listed in the Relevant Documentation section, or the annexes of the MCZ advice documents, please contact us.
Conservation Advice
Last updated: March 2018
Formal conservation advice is now available for this MPA. Further information on the approach used to develop this advice is available on our 'Conserving MPAs' webpage along with a Glossary of Terms used in JNCC's conservation advice and a short video explaining how to use the conservation advice packages.
You must refer to this advice if you:
- undertake an MCZ assessment for a plan or project that could impact the site;
- provide information for such an assessment;
- respond to specific measures to further the conservation objectives for the site; and
- consider the need to put new or additional management measures in place.
You may also find it useful to refer to this advice if you:
- carry out any other activity that could impact the site.
We will engage with stakeholders to identify any lessons which JNCC can learn from customers who have used the advice, with a view to continuing to ensure it is fit-for-purpose.
The following table provides an overview of the components of the conservation advice, and provides hyperlinks to each of the products for this MPA. These elements together form JNCC’s formal conservation advice for this site and should be read in conjunction with each other. This advice reflects the most up-to-date evidence held by JNCC (correct as of March 2018).
| Document | Overview |
|---|---|
| Background Information | Explains the purpose of the advice and when it must be referred to. |
|
|
The Conservation Objectives set out the broad ecological aims for the site. JNCC provides supplementary advice in the SACO which is essential reading to support interpretation of these conservation objectives. You can use these documents to assess the impacts of your planned activity on the important attributes of the site. |
| Conservation Advice Statements |
These statements provide a summary of the Supplementary Advice on the Conservation Objectives (SACO).
|
| Advice on Operations |
Provides information on the activities capable of affecting site integrity and therefore achievement of the site’s conservation objectives. This is a starting point for determining potential management requirements. It does not take into account the intensity, frequency or cumulative impacts from activities taking place. It is simply to advise you of the possible adverse impacts that your activity can have on a MPA’s features. Use the advice on operations to determine those pressures your activity causes that could harm the habitat and/or species features of the site. |
These documents are available on JNCC's Resource Hub.
Image Gallery
Published:
