Status: Marine Conservation Zone (MCZ)
Fulmar MCZ is an offshore site, 50–100 m deep, located approximately 224 km from the Northumberland coast.
Site
Located approximately 224 km from the Northumberland Coast, Fulmar MCZ is an offshore site, 50–100 m deep. The seabed of Fulmar MCZ is composed of subtidal mud and subtidal sand, with patches of subtidal mixed sediment. The habitats the MCZ protects are important resources for marine animals, providing food, spawning areas and shelter. Burrowing anemones and brittlestars are found at the site as well as slender sea-pens that protrude from the surface of the mud. Ocean quahog, an OSPAR threatened and/or declining species is also present, often entirely buried in the sand with a small tube extending to the surface for breathing and feeding.
More detailed site information can be found in the Summary section.
Map displaying the Fulmar MPA boundary and associated protected feature data. Visit JNCC's MPA Mapper to further view and explore data for this MPA.
Legislation
Legislation behind the designation: Marine and Coastal Access Act (2009)
Protected Features
| Protected Feature | Feature Type | General Management Approach (to achieve conservation objective) |
| Subtidal sand | Broad-scale habitat | Maintain in favourable condition |
| Subtidal mud | Broad-scale habitat | Maintain in favourable condition |
| Subtidal mixed sediments | Broad-scale habitat | Maintain in favourable condition |
| Ocean quahog (Arctica islandica) | Species Feature Of Conservation Importance | Maintain in favourable condition |
Specific information on the conservation objectives relating to this site is provided in the Conservation Advice section.
The acquisition of new data may result in updates to our knowledge on feature presence and extent within this site. The most up-to-date information is reflected on the map at the top of the page and in JNCC's MPA Mapper, with the underpinning evidence available in the Monitoring and Evidence section.
Site Timeline
The diagram below is a summary of the key milestones involved in the selection and designation of Fulmar MCZ. More information on the site's milestones can be found in the Relevant Documentation section and in annex three of JNCC's advice on offshore MCZs considered for consultation in 2015.
Relevant Documentation
The document listed below and any other historical documents relating to Fulmar MCZ were produced during the selection and designation process and therefore may be out of date. This site information centre is the most up-to-date source of information for Fulmar MCZ, and will reflect any additional information gathered since these documents were produced. Further information about the MCZ site selection process and historic MCZ advice is available on JNCC's MCZ webpages.
- Fulmar MCZ Designation Order – The official description of the site designation under the Marine and Coastal Access Act 2009. The designation order includes boundary coordinates, conservation objectives and a list of the designated features. More information on the Designation Order, including a designation map and factsheet is available on Defra's website.
- JNCC's formal conservation advice for this site is available in the Conservation Advice section below.
Summary
Last updated: October 2017
This site summary was adapted from the MCZ Site Report and incorporates any information gathered since this document was produced. Please refer to this document for further details and information sources.
Site overview
Fulmar MCZ is located approximately 224 km offshore of the Northumberland coast in the north-east of England, close to Swallow Sand MCZ and North East of Farnes Deep MCZ. The seabed in the MCZ is predominantly subtidal mud, with small patches of other sediments. Burrowing tube anemones (Cerianthus lloydii), brittlestars (including Amphuria filiformis and Ophiura albida) and sea potatoes (Echinocardium cordatum) are found living on the sediments at Fulmar MCZ. Sea-pens such as the slender sea-pen (Virgularia mirabilis) are also present. Fulmar MCZ is also home to a wide variety of worms that live within the sediment, which are an important food source for many other animals, including commercial fish species.
The MCZ currently has four designated features: subtidal mud, subtidal sand, subtidal mixed sediments and ocean quahog (Arctica islandica). Ocean quahogs are a feature of conservation importance, and are also included on the OSPAR list of Threatened and/or Declining Species & Habitats. This bivalve is a long-lived species (over 500 years) with a very slow growth rate, taking up to 50 years to reach market size. They are thought to reach sexual maturity between 5–7 years, although this is dependent on locality and growth rates. The spawning period can vary also depending on location. Recent studies have found the population of ocean quahog in the North Sea has declined in abundance, which has been linked to the impacts of human activities on the seabed.
Fulmar MCZ was originally recommended by the Net Gain regional project in 2011 to help meet the targets of protecting subtidal coarse sediment and subtidal sand broad-scale habitat features, and for the presence of ocean quahog. The presence of these features in the site was based on a modelled habitat map developed by the UKSeaMap project in 2010 and ground-truthing carried out using data from British Geological Survey (BGS) and historical surveys (1902–2011).
Since the site was recommended, more data for Fulmar MCZ have been collected through additional data analysis and another site survey in 2012. Ground-truthing confirmed the presence of subtidal mud and subtidal mixed sediments broad-scale habitats in the site and formed the basis for a new modelled habitat map to revise the extent of subtidal sand and subtidal coarse sediment at the site. The survey, along with other data sourced confirmed the presence of ocean quahog at the site. Community analysis and biotope identification has also been conducted. Further detail on the evidence for this MCZ can be found in the Monitoring and Evidence section.
Site location: Co-ordinates for this MCZ can be found in the designation order listed in the Relevant Documentation section.
Site area: 2,437 km2, a size similar to the county of Cheshire (2,343 km2).
Site depth range: 50–100 m.
Charting Progress 2 biogeographic region: Northern North Sea.
Site boundary description: The site is a simple polygon with boundary lines running north to south and east to west in line with the guidance provided by the MCZ project's Ecological Network Guidance. The boundary of Fulmar MCZ was developed by the Net Gain regional project and has not changed since it was recommended in 2011. The site boundary was guided by information on fishing intensity from international fishing fleets and infrastructure present on the seabed.
Monitoring and Evidence
Last updated: November 2023
For a full overview of the data used to support site identification and information on confidence in feature presence and extent see JNCC's Tranche Two MCZ pre-consultation and post-consultation advice. References to the scientific literature consulted during the identification of this site can be found on JNCC's MCZ webpages.
The data for the Fulmar MCZ were collected primarily through JNCC-funded or collaborative surveys, with other data obtained through other data sourcing. The data gathered provide direct evidence confirming the presence of the protected features within the site. Additional survey data will be added to JNCC's MPA Mapper in due course.
Survey and data gathering
- Fulmar MCZ MB0120 survey (2012) – JNCC collaborated with Cefas on an MCZ site verification survey to Fulmar MCZ, funded by the Defra data collection fund. Video, images, acoustic data and grab samples were collected across the site. For report see Data analysis reports.
- In November 2021, JNCC and Cefas conducted a baseline monitoring survey of Fulmar MCZ (CEND1921).
Data analysis reports
Analyses of data gathered as part of the survey listed above, as well as other relevant data analysis products, are available in the following reports:
- EUSeaMap – Provides supporting information on the presence and extent of Subtidal sand, Subtidal mud and Subtidal mixed sediments from a predictive seabed habitat map of European waters.
- Mapping seabed sediments of the Fulmar rMCZ (2015) – Using the Fulmar MCZ survey data, JNCC contracted British Geological Survey to carry out particle size analysis to identify the sediments within the MCZ. The results verified the presence of Subtidal sand, Subtidal mud and Subtidal mixed sediments within Fulmar MCZ.
- Fulmar rMCZ Post-survey Site Report (2015) – Cefas undertook analysis of the data collected on the Fulmar MCZ survey (2012) to produce a summary report. The data, analysed as part of the MB0120 Defra contract, led to the creation of a revised habitat map that has been used to inform the presence of broad-scale habitats within the MCZ.
- Community analysis of Fulmar MCZ data (2014) – JNCC undertook a community analysis of the grab and video data from the Fulmar MCZ survey (2012) to establish the biotopes present within the MCZ. The results showed that the following biotopes were present at the site:
- SS.SMu.OMu.PjefThyAfil (A5.376): Paramphinome jeffreysii, Thyasira spp. and Amphiura filiformis in offshore circalittoral sandy mud;
- S.SMu.CSaMu.VirOphPmax (A5.354): Virgularia mirabilis and Ophiura spp. with Pecten maximus on circalittoral sandy or shelly mud; and
- SS.SMx.CMx (A5.44x): Circalittoral mixed sediments, no matching biotope.
Additional relevant literature
References for further supporting scientific literature consulted during the identification of this site can be found in the annexes of our advice. Please be aware that although these sources contain information in relation to this MPA, they do not necessarily represent the views of JNCC.
Knowledge gaps
As part of the UK Marine Monitoring and Assessment Strategy (UKMMAS), JNCC led the development of a UK Marine Biodiversity Monitoring Strategy, working with partners across the UK monitoring community. The Strategy spans UK territorial and offshore waters, focusing on biodiversity in the wider environment and within Marine Protected Areas. Its aim is to implement efficient, integrated monitoring of marine biodiversity to provide the evidence needed for all the UK's policy drivers.
The evidence collected during MPA monitoring surveys is used in combination with other available evidence to:
- Enable assessment of condition of the features within sites;
- Contribute to the assessment of the degree to which management measures are effective in achieving the conservation objectives for the protected features;
- Support the identification of priorities for future protection and/or management; and,
- Enable Government to fulfil its national and international assessment and reporting commitments in relation to MPAs and help identify where further action may be required.
More detail on offshore MPA monitoring can be found on the Offshore MPA monitoring webpage. A list of monitoring surveys and relevant reports can be found on the MPA monitoring survey reports webpage.
If you are aware of any additional data not listed here or scientific papers relevant to this site, please contact us.
Conservation Advice
Last updated: February 2018
Updated formal conservation advice is now available for this MPA. Further information on the approach used to develop this advice is available on our 'Conserving MPAs' webpage along with a Glossary of Terms used in JNCC's conservation advice and a short video explaining how to use the conservation advice packages.
You must refer to this advice if you:
- undertake an MCZ assessment for a plan or project that could impact the site;
- provide information for such an assessment;
- respond to specific measures to further the conservation objectives for the site; and
- consider the need to put new or additional management measures in place.
You may also find it useful to refer to this advice if you:
- carry out any other activity that could impact the site.
We will engage with stakeholders to identify any lessons to be learned from customers who have used the advice, to ensure the conservation advice remains fit-for-purpose.
The following table provides an overview of the components of the conservation advice, and provides hyperlinks to each of the products for this MPA. These elements together form JNCC’s formal conservation advice for this site and should be read in conjunction with each other. This advice reflects the most up-to-date evidence held by JNCC (correct as of February 2018).
| Document | Overview |
|---|---|
| Background Information | Explains the purpose of the advice and when it must be referred to. |
|
|
The conservation objectives set out the broad ecological aims for the site. JNCC provides supplementary advice in the Supplementary Advice on the Conservation Objectives (SACO), which is essential reading to support interpretation of these conservation objectives. It provides further detail and site-specific information for each feature within the site including which of the attributes need to be conserved and which ones recovered. You can use these documents to assess the impacts of your planned activity on the important attributes of the site. Please note our current understanding of whether the available evidence indicates that each attribute needs to be recovered or maintained is not provided here. However, links to available evidence for the site are provided and should you require further site-specific information for the site, please contact us. |
| Conservation Advice Statements |
These statements provide a summary of the Supplementary Advice on the Conservation Objectives (SACO).
|
| Advice on Operations |
Provides information on the activities capable of affecting site integrity and therefore achievement of the site’s conservation objectives. This is a starting point for determining potential management requirements. It does not take into account the intensity, frequency or cumulative impacts from activities taking place. It is simply to advise you of the possible adverse impacts that your activity can have on a MPA’s features. Use the advice on operations to determine those pressures your activity causes that could harm the habitat and/or species features of the site. |
These documents are all available on JNCC's Resource Hub.
Image Gallery
- Ocean quahog in sandy sediment. © Becky Hitchin.
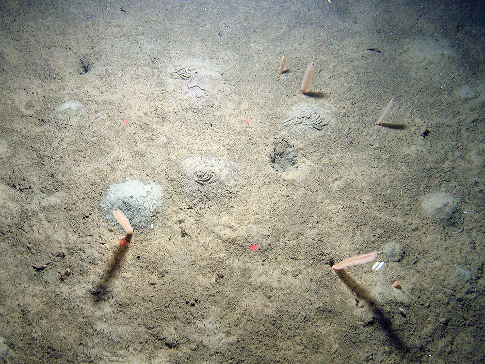
- Slender sea pens (Virgularia mirabilis) in muddy sediment with worm casts (Arenicola marina). © JNCC/Cefas.
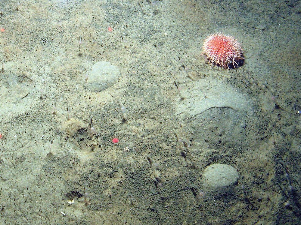
- Common sea urchin (Echinus esculentus) and silty sediment together with the hydroid Corymorpha nutans. © JNCC/Cefas.
- Horse mussels (Modiolus modiolus) in muddy sediment with a hag fish (Myxine glutinosa) swimming away. © JNCC/Cefas.
- Northern stone crab (Lithodes maja) on sediment. © JNCC/Cefas.
- Sand with empty shells and shell fragments. © JNCC/Cefas.
- Lemon sole (Microstomus kitt) on mud. © JNCC/Cefas.
- Sandy mud with small cobbles and pebbles with shell fragments. © JNCC/Cefas.
Published:
